🔸 La justicia para adolescentes impuso penas de 2 años 10 meses y 11 meses a las...
Nacional
🔸 Especialistas y productores señalan que filetes de pescado congelado importado llegan al mercado con un exceso...
🔸Autoridades de Sonora investigan el caso después de que varias personas recibieran soluciones intravenosas en un establecimiento...
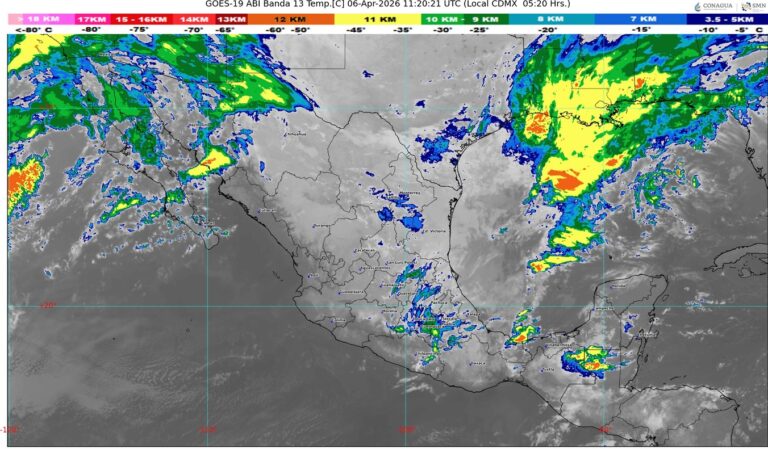
#NACIONAL🇲🇽 II Buenos días ☀️ll El Servicio Meteorológico Nacional pronostica que el frente frío número 43 se extenderá sobre...
🔸 Entre las comunidades afectadas se encuentran Rancho El Palomar, Maravillal, Escondida, Los Pirules, San Martín de...
🔸 Afirmaron que han recolectado más de 740 toneladas de residuos. #VERACRUZ | Elementos de la Secretaría...
🔸 Además, enfrenta cargos por tráfico de fentanilo y posesión de armas en el país norteamericano. #NOGALES...
🔸 Dos de los jóvenes fueron trasladados a la clínica del IMSS Bienestar en Ometepec, mientras que...
🔶️Tormentas intensas, granizadas y rachas violentas afectarán el norte, mientras calor extremo persiste en el occidente y...
🔸 Bajo una temperatura de más de 26 grados, el contingente partió desde la plaza el Emigrante...